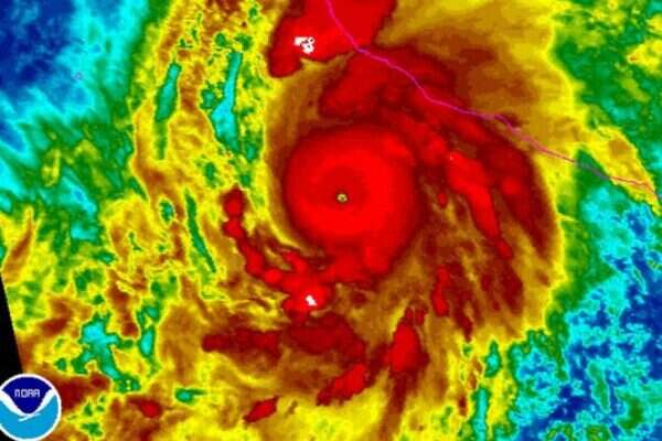
עשרות אלפי בני אדם פונו מבתיהם במקסיקו, בעקבות סופת ההוריקן "פטרישיה", שהוגדרה כסופה החזקה ביותר אי פעם. הרוחות צפויות להגיע ליותר מ-300 קמ"ש. מרכז החיזוי של ארה"ב צפה כי סופת ההוריקן "פטרישיה" תגרום לנזקים עצומים בדרום מערב מקסיקו. למרבה מהזל, עם כניסתה למקסיקו במהלך הלילה עוצמת הרוחות נחלשה.
רוצים לקבל עוד עדכונים? הצטרפו לישראל היום בפייסבוק
מרכז החיזוי האמריקני תיאר את הסופה "כחזקה ביותר שנרמה אי פעם" באזור האוקיינוס הפסיפי והאטלנטי. המרכז מזהיר מפני רוחות עזות וגשם עז שיגרום להצפות. "פטרישיה היא אחת מהסופות הכי חזקות שנראו אי פעם", המטאורולוג האמריקני ראיין מאו. "מדובר ברוחות החזקות ביותר שנרשמו מאז 1945. מהירות הרוח של הסופה אתמול הגיעה לכ-150 קמ"ש בלבד. אך כבר היום המהירות הוכפלה.
תיירים שפונו בעקבות "פטרישיה" // צילום: רויטרס
רוברטו רמירז, מנהל רשות המים הלאומית במקסיקו, אמר כי פטרישיה חזקה מספיק בכדי להרים מכוניות באוויר ולגרום נזק עצום לבתי מגורים, גם כאלו עם יסודות פלדה. הרוחות העזות יוכלו גם להעיף באוויר אנשים שיימצאו בשוגג מחוץ למקומות בטוחים בעת הסופה.
האיום הגדול ביותר בסופה הוא על אזורי מגורים הסמוכים לחופים, בעיקר במחוז ג'ליסקו, שם מתגוררים יותר משבעה מיליון בני אדם. רמירז ציין עוד כי הסופה, שנמצאת בקטגוריה 5, תהרו אחוז מאוד גדול של בתים מעץ. בעקבות הסופה ייתכנו גם הפסקות של חודשים באספקת החשמל לאזורים מסויימים.
טעינו? נתקן! אם מצאתם טעות בכתבה, נשמח שתשתפו אותנו
